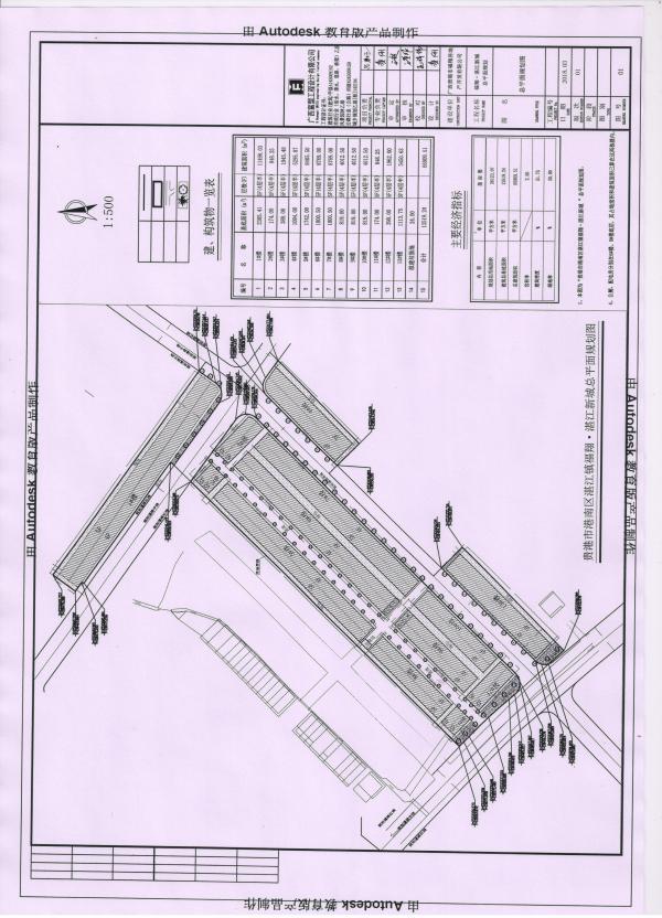
广西贵港市福翔房地产开发有限公司福翔·湛江新城总平面规划批前公示
发布:2018-03-14 10:12:53 来源:港南区建设局 作者: 编审:gnqjsj 浏览量:83
上一篇:
广西桥圩小荷羽绒制品集团股份有限...
下一篇:
广西继禹公司新型环保净水材料生产...
视觉焦点
荷城美景
流光溢彩的贵港夜
热点推荐- [2018-07-03]港南区全部补发提高部分的 城乡最低生活保障补助金...
- [2018-07-03]覃绍海局长深入村屯开展扶贫领域作风问题专项治理工作...
- [2018-07-03]港南区财政局开展 “七一”慰问活动
- [2018-07-02]贵港市第二人民医院:“七一”慰问老党员 组织关怀暖心间...
- [2018-07-02]文化体育公共资源向易地扶贫搬迁群众倾斜工作经验...
- [2018-07-02]区文体新局到帮扶东岭村开展庆七一系列活动


